本文へスキップ

コモンサカタザメ   サカタザメ科 


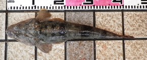
 三角形に突出した吻があり、前方に延びた胸鰭と吻が融合して体板を形成する。胸鰭の後縁と腹鰭の前縁は密接している。同種のサカタザメの体表は一様に茶色い色をしているが、コモンサカタザメの体表には黒く細かい点でできた斑紋がある。サメと名が付いていますがノコギリエイ目に分類される。

コモンサカタザメ

コモンサカタザメ



丹後の方言  特になし

コモンサカタザメ

 水深140m位までの砂泥底にすみ、小魚や甲殻類を捕食する。底引き網や定置網に入ることがあり、釣りではアマダイやレンコ鯛を狙っていて稀に釣れることがある。


 食 味

 鮮度の良い物は軟骨魚類特有のアンモニア臭がほとんどなく、刺身で食べると絶品との評もある。
 煮つけの煮こごりが美味。




良く似た魚 (色や形、大きさが似ている)

テングカスベ
テングカスベ
マゴチ
マゴチ




魚図鑑

丹後の遊漁船

丹後探検隊

丹後の日帰り温泉

北近畿の日帰り温泉

丹後の野の花

DIY ガーデニング

ぶら丹後

丹後観光ナビ

丹後観光マップ

丹後の旬

楽天釣り具ランキング
楽天釣り具ランキング

amazon釣具ランキング
Amazon釣り具ランキング