本文へスキップ

メダイ   イボダイ科 


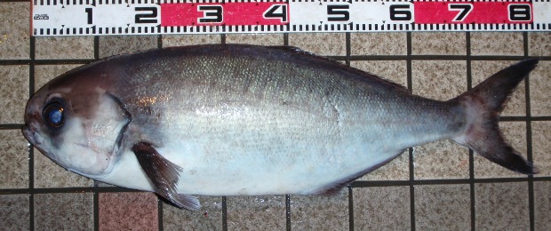
 体は長く、尾ビレは深く2叉する。背ビレ棘は短い。魚体全体が粘液で覆われている。

メダイ


丹後の方言 一般に「たいしょううお」と呼ぶ。 
 他に「ずべら」(舞鶴)。「ぐるま」(伊根)。


メダイ

 頭部が丸いせいだろうか、紀州でダルマとも呼ばれるメダイは、南の海ではクロマツとも呼ばれる。もともと水深100mを超える深場釣りの外道によく掛かった魚なのだが、最近は若狭から丹後半島の沖で、秋から冬場にメダイ専門に狙う船も増え始めた。


 食 味

 旬は真冬で脂がのりきった1,2月が旨い。新しければ造りに、照り焼き味噌漬にもできるし、フライやムニエルなどの洋風料理もあう。身に脂は多いが味は意外に淡白だ。




良く似た魚





魚図鑑

丹後のジギング船・釣り船情報

丹後観光ナビ

丹後の日帰り温泉

北近畿の日帰り温泉

DIY ガーデニング

ぶら丹後



楽天釣り具ランキング
楽天釣り具ランキング

amazon釣具ランキング
Amazon釣り具ランキング