本文へスキップ

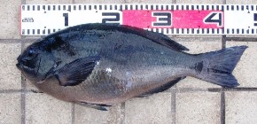
オキアジ   アジ科 


 沿岸から沖合いの底層に生息し、普通小さな群れをつくっている。
体は長卵円形。体は暗色から灰色っぽく、横帯や円形の斑紋が出たりすることがある

オキアジ


丹後の方言 全域で「ひらあじ」と呼ぶ

オキアジ
 肉食性で、甲殻類や魚介類などを食べている。 丹後では冠島〜白石礁で釣りをしているとたまに掛かる。


 食 味

 白身魚で美味しい。熱を通しても身は固くならず、サワラやマルアジに似た味わいがある。
新鮮な刺身は美味しいが、時間が経つと身が白濁してくる。




良く似た魚 (色や形が似ている)


カイワリ

ナンヨウカイワリ

グレ

イシダイ





魚図鑑

丹後のジギング船・釣り船情報

丹後観光ナビ

丹後の日帰り温泉

北近畿の日帰り温泉

DIY ガーデニング

ぶら丹後



楽天釣り具ランキング
楽天釣り具ランキング

amazon釣具ランキング
Amazon釣り具ランキング