12月29日、茗荷・森高様 |
12月29日、これが今年度最後の 釣果情報になりそうです。 明日から冬型になり海は大時化 の予報です。マリントピアに来ら れる時は「冬期道路情報」をご利 用下さい。 それでは皆様良いお年を! |
12月29日、和泉様 |
12月29日、北井様 |
12月24日、塚本様 |
12月27日、糸井様 |
12月22日、上村様 |
12月21日、田中様 |
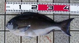
←↑ 12月21日、黒鯛45cm、堀野様 西田様の記録42㎝を更新しました |
|
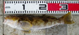
12月15日、矢野様 オコゼ30cm |
12月15日、岸本様 ガシラ30cm、今年度最長記録 |
12月11日、探検隊の釣果、サゴシ・ハマチ釣堀状態です。 |
|
12月9日、北井様 マトウダイ43cm、今年度最長記録 |
12月10日、西田様 黒鯛42cm、堀野様と並び1位です |
12月9日、和泉様 |
|
12月9日、和泉様 キジハタ40cm、今年度最長記録 |
12月9日、アマダイ41cm、和泉様 自己記録37㎝を更新しました |
12月9日、藤本様 |
|
12月8日、森高様、茗荷様 |
12月9日、堀野様 |
12月8日、森高様 スズキ75cm、今年度最長記録 |
12月8日、ヒラメ70cm、森高様 大森様の記録62㎝を更新しました。 |
12月8日、二宮様 |
12月8日、永嶋様 |
12月7日、大森様 黒ソイ46cm、今年度最長記録 |
12月7日、真アジ46cm、大森様 北井様、上田様の記録40㎝を更新しました |
12月6日、安東様 |
|
12月2日、矢野様 |
12月6日、堀野様 |
12月2日、和泉様 |
|
12月2日、大森様 |
12月2日、アマダイ37cm、和泉様 山崎様の記録36㎝を更新しました。 |
12月1日、北井様 |
12月2日、山木様 |
12月1日、北井様 サバ42cm、今年度最長記録 |
12月1日、北井様 マハタ36cm、今年度最長記録 |
12月1日、和泉様 |
12月1日、真鯛70cm、北井様 今年度記録第3位です。 |
12月1日、アオハタ41cm、大森様↑→ 山崎様の記録34㎝を更新しました。 |
|
12月1日、山木様 |
12月1日、上村様 |
11月26日、上田様 |
11月30日、山木様 |
11月25日、曽々木様 |
|
11月25日、山本様 |
11月25日、上田様 |
11月25日、高橋様 |
11月25日、氏野様、正内様、中路様 |
11月25日、堀野様 黒鯛42cm、今年度最長記録 |
11月25日、高橋様 白ギス27cm、今年度最長記録 |
← ↑ 11月25日、今年度最長記録 ヒラメ62㎝、アナゴ95㎝、大森様 |
|
11月25日、和泉様 |
11月25日、北井様 |
11月24日、山田様 |
11月24日、山崎様 アマダイ36cm、今年度最長記録 |
11月24日、山崎様 |
11月24日、山崎様 メジロ64cm、今年度最長記録 |
11月24日、山崎様 アオハタ34cm、今年度最長記録 |
|
11月23日、皆木様 真鯛75cm、永嶋様と並び1位です |
11月23日、北井様 真アジ40cm、今年度最長記録 |
11月23日、大森様 |
11月23日、尾田様 珍しい魚、スギが釣れました |
11月17日、正田様 |
11月23日、山内様 |
11月17日、茗荷様 |
11月17日、永嶋様 真鯛75cm、今年度最長記録 |
11月17日、山木様 イトヨリ41cm、今年度最長記録 |
11月17日、山木様 |
11月15日、糸井様 |
11月17日、土屋様 |
11月14日、福田様 タチウオ126cm、今年度最長記録 |
11月15日、西田様 サワラ85cm、今年度最長記録 |
11月10日、二宮様 |
11月11日、二宮様 |
11月10日、ブリ85cm、佐坂様 〆切最終日に矢野様の記録79㎝を更新しました。ミラクルです!! 矢野様残念ですね(-_-;) ご愁傷様です。 |
レストランのお食事券GET おめでとうございます!! |
11月10日、アオリイカ33cm、来田様 仲野様の記録29㎝を更新しました。 |
11月10日、永嶋様 |
| ← 珍しい魚が釣れました。 どことなく鬼の顔に似てませんか 11月9日、樋口様、ミシマオコゼ さっそく探険隊が試食をする事になりました。報告はまた後日! |
|
11月9日、北井様 |
11月9日、堀野様 |
11月4日、山本様 |
11月4日、橋本様 |
11月3日、山田様 |
11月4日、高木様 |
11月3日、佐坂様、真鯛78cm 毎年宮津湾内のノマチノグリでは、冬になると大真鯛が釣れるようになりますが、今年は一足早く釣れました。 |
11月3日、上田様 |
11月3日、大森様 |
11月3日、山木様 |
11月2日、谷様 |
11月3日、和泉様 |
| 11月号別荘クラブで情けない記事を書いたブリ狙いのリベンジで再挑戦の村瀬君。 ブリは残念ながら見れませんでしたが、メジロをゲットし、雪辱を晴らしました。 しかし、いつかはブリを!・・・ 強烈な引きに必死に堪える村瀬君。を撮ったつもりだが、なぜかにやけて見えるのは喜びのせいか、それとも、また釣った後の邪念のせいか? 詳しくはドーロスタークラブでどうぞ |
10月30日、探検隊員の釣果 |
10月29日、北井様 |
|
10月27日、吉崎様 クルージングポートでヒラメが釣れました☆ |
10月28日、永嶋様 |
10月27日、矢野様 アジ40cm?? |
10月27日、山田様 |
| 10月26日、にしがきエギングクラブの皆様土砂降りの雨の中ご苦労さんでした。 |
|
| お知らせ マリントピア魚種別大物大賞の 締め切りが11月10日と迫りました。 大物の狙える魚種がまだまだあります ので、ぜひ挑戦を! |
10月22日、北井様 イトヨリ37cm、今年度最長記録 |
10月21日、北井様 |
10月22日、北井様 |
10月15日、桑名様 |
10月19日、市田様 |
10月14日、山本様 |
10月14日、伊藤様 |
10月14日、脇田様 |
10月14日、和泉様 |
10月12日、北井様 |
10月7日、矢野様 |
10月7日、山本様 |
10月7日、河田様 |
10月7日、谷川様 |
10月6日、谷口様 |
10月4日、谷様 |
10月4日、来田様 |
10月1日、北井様 |
10月1日、小川様 |
9月30日、山木様 |
9月30日、塚本様、ヒラメ63cm |
9月30日、岸本様 |
9月29日、岸本様 |
9月28日、糸井様 何と、エギでツバスが釣れました! |
9月29日、山田様 |
←↑ 9月26日、サワラ87cm、安東様 上村様と並びタイ記録です |
|
9月26日、山田様 |
9月24日、和泉様、上村様 |
9月24日、山形様 ↑ → |
|
9月23日、桑名様 |
9月23日、山田様 |
9月22日、梶原様 |
9月22日、ヒラメ74cm、小島様 佐坂様の記録70㎝を更新しました |
ムラサキダコ 子供たちが浜でつかまえました |
9月22日、頭井様 |
9月21日、上田様 |
9月22日、山崎様 |
← ↑ 9月21日、小島様 |
|
9月19日、北井様 |
9月16日、矢野様 |
9月15日、田中様 |
9月16日、丸山様 |
9月14日、北井様 |
9月15日、山木様 |
9月14日、野澤様 |
9月14日、山木様 |
9月9日、二宮様 |
9月9日、北井様 |
9月8日、茗荷様 |
9月8日、森高様 レンコダイ37cm、今年度最長記録 |
9月6日、安東様 |
|
9月3日、北井様 |
9月4日、マリーナ調査隊、 型はまだ小さいですが、エギに よく反応し釣れだしました。 |
9月2日、西田様 |
9月3日、小島様 |
9月2日、和泉様 |
9月2日、柏井様 |
9月1日、佐坂様 |
9月2日、岸本様 |
9月1日、岸本様 |
9月1日、塚本様 |
8月31日、清水様 |
8月31日、尾﨑様 |
8月26日、清水様 |
8月26日、矢野様 真鯛68㎝ |
8月26日、正田様 |
8月26日、山本様 |
8月25日、桑名様 |
8月25日、正田様 |
8月24日、小島様 |
8月24日、和泉様、北井様 |
8月23日、安東様 |
8月23日、谷様 |
8月19日、矢野様 |
8月22日、真鯛86cm、安東様 東野様の記録83㎝を更新して第3位です |
8月18日、中尾様 |
8月18日、北井様 |
8月17日、原様 |
8月18日、山田様 |
8月15日、奥村様 |
8月15日、山中様 |
8月15日、中野様 真鯛65cm |
8月12日、ヒラメ90cm、宇野様 波見の安全丸で出られて釣られました |
← 8月14日、白ギス29cm、池田様 糸井様の記録28㎝を更新しました。 |
|
8月14日、山木様 トラフグ49cm、今年度最長記録 |
8月14日、中野様 |
8月13日、久保田様 |
8月14日、山本様 |
8月12日、茗荷様 |
8月12日、淵上様 |
8月10日、小島様 |
8月12日、ヒラメ70cm、佐坂様 森高様の記録66㎝を更新しました。 |
8月9日、山田様 真鯛58cm |
8月10日、堀山様 |
8月9日、中野様 真鯛68cm、65cm |
8月6日、野澤様 |
8月6日、川本様 |
8月6日、茗荷様 |
8月5日、野澤様 |
8月5日、メジロ79cm、矢野様 河内様の記録66㎝を更新しました。 |
8月5日、小島様 |
8月5日、和泉様 |
8月4日、佐坂様 |
8月5日、山本様 |
8月4日、小島様 |
7月30日、山田様 |
|
← ↑ 7月29日、佐坂様 |
|
7月29日、安東様 |
7月29日、荒井様 |
7月29日、正田様 |
|
7月28日、荒井様 |
7月29日、清水様 |
7月28日、山崎様 |
7月28日、正田様 |
7月27日、北井様 |
7月28日、北井様 |
← ↑ 7月25、26日、小島様 |
|
7月26日、横山様 |
7月26日、谷様 |
7月22日、和泉様 |
7月25日、山木様 |
7月22日、橋本様 ↑ → |
|
7月21日、北井様 真鯛75cm |
7月21日、藤本様 |
7月21日、橋本様 |
7月21日、山崎様 |
7月16日、北井様 |
7月19日、谷様 |
7月16日、安井様 |
7月16日、山田様 |
7月16日、服部様 |
7月16日、吉田様 |
7月14日、藤田様 <<思い出アルバム>> |
![]() 非常に強い台風4号は、14日17時には 九州を抜けて四国へ向かって進んでいま す。15日の早朝には紀伊半島に上陸す る見込みで、丹後でも暴風雨圏に入る可 能性が高く厳重な注意が必要です。 |
7月9日、小島様 |
7月7日、大森様 |
7月6日、安東様 |
7月7日、小島様 |
7月1日、正田様 |
7月6日、桑名様 |
7月1日、白ギス28cm、糸井様 茗荷様の記録26cmを更新しました。 |
7月1日、糸井様 |
6月30日、山田様 |
6月30日、正田様 |
6月30日、佐坂様 ↑ → |
|
6月28日、古川様 |
6月28日、キジハタ47cm、古川様 小島様の記録41㎝を更新しました。 |
6月28日、野澤様 |
6月27日、安東様 |
6月27日、小島様 |
6月27日、黒ソイ46cm、小島様 大野様の記録43㎝を更新しました。 |
6月24日、和泉様 マゴチ54cm、今年度最長記録 |
6月25日、北井様 |
6月24日、キジハタ41cm、小島様 大森様の記録40㎝を更新しました。 |
6月24日、小島様 |
6月23日、白ギス26cm、茗荷様 桐山様の記録24㎝を更新しました。 |
6月23日、茗荷様 |
6月23日、堀山様 |
6月23日、佐坂様 |
6月23日、キジハタ40cm、大森様 和泉様の記録36㎝を更新しました。 |
6月23日、大森様 |
6月21日、谷様 |
6月23日、岸本様 |
6月17日、長谷様 ↑ → |
珍しい魚です。ヒゲソリダイ 見かけによらず美味しいらしい。 |
6月16日、堀山様 |
6月17日、上村様 |
6月16日、小島様 ↑ → |
|
6月10日、小島様 |
6月10日、曽々木様 |
6月10日、矢野様 |
6月10日、イマス様 |
6月10日、桐山様 白ギス24cm、今年度最長記録 |
6月10日、北井様 |
6月10日、桐山様 |
6月10日、伊藤様 |
6月10日、高橋様 |
6月10日、佐伯様 |
6月9日、正内様 |
6月9日、佐坂様 |
6月8日、北井様 |
6月9日、山口様 |
6月7日、谷様 |
6月8日、谷様 |
6月6日 荻野君アオリイカのモンスターを釣る!! 胴長35cm、1.35㎏、養老で |
|
6月3日、小島様 |
6月4日、来田様 |
6月3日、荒井様 |
6月3日、北井様 |
6月2日、河内様 メジロ66cm、今年度最長記録 |
6月2日、大野様 |
5月30日、上村様 |
5月31日、田中様、 ジギングでの釣果 |
5月27日、北井様 |
5月27日、山本様 |
5月27日、ガシラ43cm、正田様 河内様の記録37㎝を更新しました |
5月27日、正田様 |
5月23日 中野様 |
5月26日、正田様 |
5月23日 村山様 ↑→ |
|
5月23日 谷様 |
今日は冠も珍しくベタ凪でオオグリ周辺は写真のような鳥山で大賑わいでした。 |
5月20日、黒ソイ43cm、大野様 矢野様の記録42㎝を更新しました |
5月21日、北井様 |
5月18日、河内様 |
5月19日、佐坂様 真鯛74cm |
5月12日、北井様 |
5月13日、岸本様 |
5月12日、上村様 |
5月12日、橋本様 |
5月12日、ウマヅラ40cm、梶原様 糸井様の記録39㎝を更新しました |
5月12日、岸本様 |
5月12日、梶原様 |
5月12日、アオハタ48cm、梶原様 森高様の記録35㎝を更新しました |
5月9日、北井様、糸井様 |
5月12日、谷様 |
5月5日、森高様 アオハタ35cm、今年度最長記録 |
5月9日、北井様 グレ43㎝、今年度最長記録 |
5月5日、半田様 |
5月5日、安田様 |
5月4日、佐坂様 |
5月5日、イサキ40cm、佐坂様 矢野様の記録34㎝を更新しました |
5月4日、児島様 |
5月4日、中尾様 |
5月3日、山田様 |
5月3日、糸井様 |
5月3日、大森様 |
5月3日、清水様 |
4月30日、佐坂様 |
5月3日、北井様 |
4月30日、佐坂様 |
|
4月30日、糸井様 |
4月30日、ウマヅラ39cm、糸井様 山木様の記録38㎝を更新しました |
4月30日、西村様 |
4月30日、ウマヅラ38cm、山木様 和泉様の記録36㎝を更新しましたが・・・ |
4月29日、茗荷様 |
4月29日、佐坂様 |
4月29日、山木様 |
4月29日、荒井様 |
4月29日、川畑様 |
4月29日、土屋金属様 |
4月28日、山木様 |
4月28日、和泉様 |
4月28日、嶋津様 |
4月28日、茗荷様 |
4月27日、上村様 |
4月26日、真鯛90cm、北井様 佐坂様の記録87㎝を更新して第1位です |
4月25日 真鯛83cm、東野様 田中様の記録82cmを更新しました。 |
4月25日 北井様 |
4月22日、北井様 |
4月22日、橋本様 |
4月21日、佐坂様 |
4月22日、佐坂様 |
4月21日、和泉様 |
|
4月21日、永嶋様 |
|
4月20日、みずほの伊吹様 |
4月21日、ガシラ37cm、河内様 大森様の記録35㎝を更新しました。 |
4月20日、上村様 チカメキントキ |
4月20日、和泉様 |
4月15日、糸井様 |
4月15日、清水様 |
4月15日、橋本様 |
4月15日、アジ46cm、矢野様 自己記録45㎝を更新しました。 |
4月14日、アジ45cm、矢野様 上田様の記録44㎝を更新しました。 |
4月14日、武田様 |
4月13日、谷様 |
4月14日、山田様 |
4月12日、谷様の釣果 → |
|
4月11日 田中様 |
4月12日、中野様 |
4月8日、北井様 |
4月9日、田中様 |
学名 アカハンボウ目フリソデウオ科「サケガシラ」、4月8日、9号館オーナーが 部屋から海を見ていると波打ち際に巨大なタチウオのような魚を発見されて捕獲 されました。調べた結果、深海魚でリュウグウノツカイの近縁のサケガシラと分か りました。水分が多い身で生臭いらしいので、残念ですがリリースしました。 |
|
4月8日、マトウダイ47cm、佐坂様 自己記録44㎝を更新しました。 |
4月8日、佐坂様 |
4月8日、山本様 |
4月8日、橋本様 |
4月8日、和泉様 コブダイ40㎝ |
4月8日、和泉様 |
3月23日、佐坂様 |
|||||||||||
3月23日、和泉様 |
|||||||||||
3月23日、北井様 |
黄砂に霞む5号館 |
||||||||||
3月22日、和泉様 |
3月22日、上村様 |
||||||||||
3月21日、サバ42cm、北井様 矢野様の記録41㎝を更新しました。 |
3月21日、北井様 |
||||||||||
3月21日、西田様 |
3月21日、和泉様 |
||||||||||
3月10日、藤本様 |
3月10日、岸本様 |
||||||||||
3月10日、山本様 |
3月10日、佐坂様 |
||||||||||
3月9日、和泉様 |
3月9日、北井様 |
||||||||||
3月4日、山本様 |
3月4日、西田様 |
||||||||||
3月3日、佐坂様 |
3月3日、メダイ72cm、矢野様 北井様の記録71㎝を更新しました。 |
||||||||||
3月3日、上田様 |
3月3日、堀山様 |
||||||||||
3月3日、大森様 |
3月3日、ガシラ35cm、大森様 和泉様の記録31㎝を更新しました。 |
||||||||||
3月3日、上村様 |
3月3日、大野様 |
||||||||||
3月2日 森下様 |
3月2日 北井様 |
||||||||||
3月1日、北井様 |
3月2日、上村様 |
||||||||||
1月28日、佐坂様 |
|
1月28日、和泉様 ガシラ31cm、今年度最長記録 |
1月28日、和泉様 |
1月27日、アマダイ44cm、和泉様 自己記録43㎝を更新しました。 |
1月27日、和泉様 |
1月21日、佐坂様 マトウダイ40cm、今年度最長記録 |
1月27日、永嶋様 |
1月21日、佐坂様 |
|
1月21日、北井様 メダイ71cm、今年度最長記録 |
1月21日、北井様 |
1月21日、アマダイ43cm、和泉様 自己記録39㎝を更新しました。 |
1月21日、和泉様 |
1月20日、佐坂様 |
1月21日、和泉様 キジハタ36cm、今年度最長記録 |
1月20日、嵯峨根様 |
1月20日、和泉様 |
1月17日、真鯛72cm、糸井様 |
←またまた「のまちのぐり」で大真鯛 ! あそこには一体何匹の大真鯛がいる のでしょうか? |
1月6日、矢野様 サバ41cm、今年度最長記録 |
1月14日、佐坂様 |
1月4日、上村様 |
1月5日、和泉様 |
1月4日、森高様 |
1月4日、和泉様 |
1月4日、田中様 ↑ → 真鯛82cm、今年度記録第2位です |
|
1月4日、佐坂様 ↑ → 黒ソイ39cm、チダイ34cm 今年度最長記録 |
|
1月3日、北井様 |
1月3日、森高様 |
1月2日、糸井様 |
1月3日、和泉様 |
1月1日、吉田様 |
1月2日、高木様 |

