| 11月11日より新年度の大物釣り大賞が始まりました。大物を釣られた方はどしどしご登録下さい。今年は釣り具メーカー「ささめ針」様より協賛を頂き、賞品もグレードUPしましたので、ご期待下さい。 最新の登録情報はこちらから。 |
12月30日、ヒラマサ66㎝、土井様 和泉様の記録61㎝を更新しました。↓ |
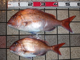
12月30日、イトヨリ41㎝、森高様 今年度最長記録です。↓ |
| 12月30日、土井様 |
12月30日、茗荷・森高様 |
12月27日、山本様 |
12月13日、トラフグ33cm、山本様 今年度最長記録です |
12月13日、真鯛2位80cm、北井様 中野様の記録と並び第2位です |
12月13日、北井様 |
12月12日、北井様 → |
|
12月12日、ヒラメ58cm、和泉様 村山様の記録57cmを更新しました |
12月12日、山田様 |
12月10日、ヒラマサ61cm、和泉様 今年度最長記録です。 養老沖漁礁で釣れました!! |
|
12月10日ヒラメ57cm、村山様 井関様の記録47cmを更新しました |
12月9日、小長谷様 ↓ |
12月2日、サワラ72cm、北井様 堀山様の記録62cmを更新しました |
12月9日、アオハタ42cm、小長谷様 今年度最長記録です。 |
| 11月11日より新年度の大物釣り大賞が始まりました。大物を釣られた方はは、どしどしご登録下さい。今年も豪華?商品を用意しています!! ただ今大真鯛ぞくぞく記録更新中! 最新の登録情報はこちらから。 |
11月29日、山田様の釣果 |
11月29日、マトウダイ43㎝、北井様 井関様の記録42㎝を更新しました |
11月29日、石橋様の釣果 |
11月29日、真アジ41㎝、石橋様 今年度最長記録です |
11月27日、真鯛1位81㎝、中塚様 中野様の記録80㎝を更新しました |
11月27日、吉崎様の釣果 |
11月27日、丸本様の釣果 → |
11月27日、キジハタ45㎝、ガシラ38㎝ 和泉様35㎝と尾田様32㎝の記録を更新しました |
11月26日、真鯛1位80㎝、2位73㎝ |
11月26日、中野様 皆木様の記録66㎝を更新して 1位2位独占です!! |
11月25日、村山様の釣果 |
11月23日、堀山様 ↓ |
11月23日、イサキ38㎝、和泉様 北井様の記録34㎝を更新しました |
11月23日、サワラ62㎝、堀山様 今年度最長記録です |
11月23日、足立様 |
11月23日、大森様 |
11月23日、マトウダイ42㎝、井関様 今年度最長記録です |
11月23日、田中様 |
11月23日、井関様の |
11月23日、ヒラメ47㎝、井関様 今年度最長記録です |
11月22日、皆木様 ↓ |
11月22日、和田様 |
11月22日、真鯛66㎝、皆木様 今年度最長記録で第1位です |
11月22日、ガシラ32㎝、尾田様 今年度最長記録です |
11月22日、キジハタ35㎝、和泉様 今年度最長記録です |
11月22日、スズキ66㎝、和泉様 堀山様の記録54㎝を更新しました |
11月22日、黒ソイ42㎝、和泉様 今年度最長記録です |
11月22日、山中様 |
11月22日、山木様 |
11月22日、レンコダイ34㎝、山木様 堀山様の記録33㎝を更新しました |
11月22日、多田様 |
11月22日、エソ60㎝、多田様 今年度最長記録です |
11月21日、堀山様 |
11月22日、そらくんとひかるくんが9号館 前で投げ釣りで釣りました |
11月21日、レンコダイ33㎝、堀山様 正田様の記録32㎝を更新しました |
11月21日、スズキ54㎝、堀山様 今年度最長記録です |
11月20日、北井様 |
11月21日、二宮様 |
11月20日、メジロ68㎝、北井様 今年度最長記録です |
11月20日、イサキ34㎝、北井様 今年度最長記録です |
11月19日、小島様 |
11月20日、アマダイ41㎝、北井様 今年度最長記録です |
11月15日、正田様 |
11月15日、レンコダイ32㎝、正田様 今年度最長記録です |
11月13日、黒鯛49㎝、木下様 今年度最長記録です |
11月13日、木下様 |
11月9日、土井様 |
11月9日、北井様 |
11月8日、井口様 |
11月9日、田中様 |
11月8日、土井様 ↑→ |
|
11月7日、堀山様 |
11月7日、矢野様 |
11月7日、和泉様 |
11月7日、北井様 |
11月7日、堀野様 |
11月7日、土屋金属様 |
11月4日、アオリイカ23cm、太田様 山田様の記録22cmを更新しました |
11月6日、堀様 |
11月4日、田中様 インチクでヒラメGET!! |
11月4日、藤前様 |
11月4日、村山様 → |
11月4日、村山様 |
11月1日、イトヨリ41cm、山田様 桑名様の記録38㎝を更新しました |
10月31日、山田様 良型サイズが良く釣れています! |
|
10月31日、皆木様 |
10月31日、アオリイカ22cm、山田様 宮崎様の記録21㎝を更新しました |
10月31日、キジハタ49cm、丸本様 自己記録の47㎝を更新しました |
10月31日、丸本様 |
10月30日、角勝様 |
10月30日、白濱様 |
10月30日、山木様 |
10月29日、山木様 |
10月28日、横山様 |
10月29日、上田様 |
10月28日、横山様 |
10月25日、山田様 |
10月25日、相澤様 |
10月25日、二宮様 |
10月24日、茗荷様 |
10月24日、佐坂様 |
10月24日、堀山様、シイラ67㎝ 今年度最長記録です |
10月24日、太田様 |
10月24日、矢野様 |
10月24日、矢野様 トラフグ2匹も釣れました |
| 10月21日、カイワリ24cm小長谷様 和田様の記録23cmを更新しました |
10月24日、藤川様 |
10月18日、和泉様 |
10月17日、和泉様 |
10月17日、堀山様 |
10月17日、堀山様 真鯛 70㎝ |
10月17日、矢野様 |
10月17日、森川様 |
10月16日、田中様 |
10月17日、塚本様 |
10月16日、山木様 |
10月16日、皆木様 |
10月15日、中野様 |
10月16日、佐々木様 |
10月15日、豊島様 |
10月15日、河内様 |
10月15日、山木様 |
10月12日、塚本様 |
10月12日、高木様 |
10月12日、仲野様 |
10月10日、山田様 |
10月11日、大森様 |
10月10日、丸本様 |
10月5日、太田様 |
10月4日、山本様 |
10月5日、小林様 |
10月4日、黒鯛44cm、榊原様 山本様と並びタイ記録です |
|
10月4日、井口様 |
10月4日、堀山様 |
10月3日、アオリイカ胴長21cm 宮崎様、今年度最長記録です |
10月3日、塚本様 今日はカガミダイが釣れました |
ヒラメ 68cm |
10月3日、矢野様 |
10月3日、山木様 |
10月3日、田中様 |
10月3日、丸本様 |
|
6月28日、牧野様 |
|
6月27日、奥田様 タコの仲間の「アオイガイ」、雌だけ 卵を守るため殻をつくるらしい。 |
6月28日、橋本様 |
6月27日、サバ45cm、大森様 北井様の記録42cmを更新しました |
6月27日、大森様、21番 |
6月26日、和泉様 |
6月27日、森様、12番 |
6月25日、田中様、冠 |
6月26日、中野様、伊根沖 |
6月24日、イサキ44cm、安東様 和泉様の記録35cmを更新しました |
|
6月21日、土井様、白石沖 |
6月21日、ヒラメ74cm、土井様 樋口様の記録73cmを更新しました |
6月21日、宮本様、25番 |
6月21日、北井様、12番 |
6月20日、山田様 |
6月20日、イズカサゴ41cm、山田様 自己記録の40cmを更新しました |
6月20日、矢野様、24番付近 |
6月19日、桑名様、12番 |
6月19日、真アジ49cm、中川様 山本様の記録48cmを更新しました |
6月19日、中川様 |
6月19日、谷様 |
6月19日、上田様、30番 |
6月14日、山田様、白石沖 |
6月18日、谷様、12番 |
6月14日、山本様、17番 |
6月14日、大森様、オオグリ |
6月13日、さっちゃん先生、12番 |
6月13日、二宮様、養老沖 |
6月12日、田中様、12番 |
6月12日、松居様、養老沖 |
6月7日、藤本様 |
6月7日、北井様、伊根沖 |
6月7日、丸本様、葛島付近 |
6月7日、キジハタ47cm、丸本様 矢野様の記録33cmを更新しました |
6月6日、宮本様、養老沖 |
6月6日、山田様、白石沖 ①エテガレイ ②ムシガレイ ③アカガレイ |
6月6日、梅原様、冠 |
6月6日、土井様、白石 |
6月5日、田中様、14番 |
6月6日、中川様、12番 |
6月4日、田中様 |
6月4日、中野様、21番 |
6月3日、田中様 |
|
5月31日、オキメバル32cm、和泉様 今年度最長記録です |
|
5月31日、皆木様、15番 |
5月31日、大森様、19番 |
5月30日、正田様、養老沖 |
5月31日、正田様、養老沖 |
5月29日、山木様、養老沖 |
5月30日、北井様、伊根沖 |
5月27日、アイナメ43cm、田村様 山田様の記録40cmを更新しました |
5月28日、山木様、養老沖 |
5月27日、山木様、伊根沖 |
5月27日、小長谷様、伊根沖 |
5月27日、白濱様、養老沖 |
5月24日、堀山様、白石 |
5月24日、山木様、養老沖 |
5月24日、土井様、浦嶋 |
5月23日、田中様、冠 |
5月23日、伊藤様、19番 |
5月17日、アナゴ88cm、小長谷様 今年度最長記録です |
5月23日、高橋様、19番 |
5月16日、佐坂様、21番付近 |
5月16日、チダイ35cm、佐坂様 今年度最長記録です |
5月16日、徳山様、冠 |
5月16日、矢野様、19番 |
5月16日、黒ソイ56cm、田中様 佐坂様の記録46cmを更新しました |
5月16日、田中様、19番 |
5月15日、相澤様、伊根沖 |
5月15日、グレ45cm、山田様 今年度最長記録です |
5月14日、田中様、真鯛第1位 86㎝ 堀山様の記録85㎝を更新しました |
5月10日、佐坂様、冠 |
5月10日、土井様、白石 |
5月10日、土井様 本物のノドグロです |
5月10日、堀野様、冠 |
5月10日、脇田様、17番 |
5月10日、高木様、冠 |
5月9日、土井様、白石 |
5月9日、中川様、白石 |
オッキイオキメバルです。 |
5月8日、上田様、真鯛第2位 83㎝ 堀山様の記録81㎝を更新しました |
5月9日、矢野様、冠 |
5月7日、上田様、30番 |
5月6日、槙野様、オオグリ |
5月5日、中尾様、冠 |
5月6日、和泉様、伊根沖 |
5月5日、大山様、冠 |
5月5日、堀山様、冠 |
5月4日、エテガレイ40cm、山田様 今年度最長記録です |
5月4日、五十川様、冠 |
5月4日、塚本様、浦嶋 |
5月4日、シマガツオ45cm、山田様 今年度最長記録です |
5月4日、ブリ99cm、北井様 土井様の記録90cmを更新しました。 |
5月4日、佐坂様、冠 |
5月4日、横山様、冠 |
5月4日、足立様、冠 |
5月4日、堀野様、オオグリ |
5月4日、大森様、冠 |
5月3日、土井様、白石 |
5月4日、中尾様、黒崎沖 |
5月3日、コブダイ54cm、大森様 今年度最長記録です |
5月3日、大森様、冠 |
5月3日、柏井様、32番 |
5月3日、田中様、冠 |
5月3日、樋口様、冠 |
5月3日、桑名様、17番 |
5月2日、藤原様 藤本様・ピエール(犬)様 |
5月3日、山内様、養老沖 |
5月2日、下林山徳志様、養老沖 |
5月2日、北井様、冠 |
5月2日、堀山様、真鯛第2位 81㎝ 北井様の記録74㎝を更新しました |
5月1日、北井様、冠 |
5月1日、山田様、浦嶋 |
5月1日、タヌキメバル49cm、山田様 今年度最長記録です |
5月1日、皆木様、オオグリ |
|
2月28日、北井様、白石 |
|
2月22日、土井様、白石 |
2月28日、塚本様、オオグリ |
2月21日、白ギス27㎝、田辺様 今年度最長記録です |
2月22日、北井様、白石 ジギングデビュー、一人でこの釣果!! |
2月15日、土井様、白石 |
|
2月15日、メジロ64cm、土井様 自己記録の63cmを更新しました。 |
珍しい魚が釣れました! 横山様 エゾイソアイナメ |
2月14日、大森様、88番 |
2月14日、横山様、8番 |
← 2月13日、ウマヅラ42cm、北井様 自己記録の40cmを更新しました。 |
|
2月12日、安東様、伊根沖 |
2月12日、北井様、伊根沖 |
2月12日、ヒラメ73cm、樋口様 和泉様の記録62cmを更新しました。 |
2月12日、山木様、養老沖 |
2月9日、佐坂様、冠付近 |
2月8日、サワラ82cm、土井様 自己記録と北井様の記録80cmを更新しました。 |
2月7日、茗荷様、森高様、43番 |
2月8日、土井様、冠 |
2月5日、安東様、36番 |
2月5日、北井様、36番 |
2月4日、和泉様、88番魚礁 |
2月4日、メダイ73cm和泉様 北井様の記録72cmを更新しました。 |
メダイ 伊根沖・冠周辺でよく釣りれています。 |
冬期道路情報で天候を確認して 釣りに来てください。 |

