|
|||
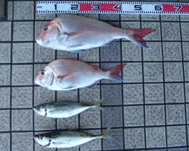
12月20日、ホウボウ43cm、菅様 和泉様の記録34cmを更新しました |
12月23日、和泉様 |
||
12月20日、瀧川様、マトウダイ46cm 記録に一歩及ばずでした・・・ |
12月20日、高橋様 |
||
12月19日、真アジ43cm、菅様 樋口様の記録39cmを更新しました |
12月19日、ヒラメ60cm、中塚様 二宮様の記録52cmを更新しました |
||
12月19日、塚本様 |
12月19日、ブリ96cm、北井様 今年度最長記録です |
||
12月19日、二宮様 |
12月19日、土井様 |
||
12月19日、マトウダイ47cm、二宮様 中川様の記録43cmを更新しました |
12月19日、サバ40cm、二宮様 今年度最長記録です |
||
12月18日、真鯛80cm、中川様↑→ 今年度第1位を更新しました。 |
|||
12月18日、マトウダイ43cm、中川様 今年度最長記録です。 |
12月18日、ホウボウ34cm、和泉様 今年度最長記録です。 |
||
12月16日、松田様 |
12月18日、丸本様 |
||
12月12日、アマダイ44cm、来田様 山田様の記録36cmを更新しました |
12月12日、小島様 |
||
12月11日、真アジ39cm、樋口様 今年度最長記録です |
![]() 12月11日、山田様 |
||
12月6日、中井様 |
12月5日、土井様 |
||
12月5日、アマダイ36cm、山田様 今年度最長記録です |
12月5日、山田様 |
||
12月5日、真鯛75cm、横井様 今年度第1位を更新しました |
12月5日、由凪田中様 |
||
12月4日、春日部様 |
12月2日、由凪艇・田中様 |
11月27日、和泉様 ↓ |
|||||
11月27日、真鯛66cm、和泉様 真鯛の部第3位を更新しました |
11月27日、サワラ82cm、中川様 今年度最長記録です |
||||
11月22日、大森様 |
11月27日、中川様 ↑ |
||||
11月22日、和泉様 |
11月21日、山本様 |
||||
11月21日、堀野様 |
11月21日、山本御一行様 |
||||
11月21日、二宮様 |
11月21日、ヒラメ52cm、二宮様 今年度最長記録です |
||||
11月21日、真鯛73cm、横井様 今年度記録第2位です |
11月21日、真鯛64cm、堀山様 今年度記録第3位です |
||||
11月21日、村山様 |
11月21日、和泉様 |
||||
11月20日、メダイ82cm、北井様 和泉様の記録72cmを更新しました |
11月20日、北井様 |
||||
11月20日、東様 |
11月20日、田中様 |
||||
11月20日、安田様 |
11月20日、黒ソイ47cm、和泉様 茗荷様の記録37cmを更新しました |
||||
|
11月20日、渡辺様 |
|||||
11月20日、アオリイカ胴長28cm、角田様 北井様の記録23cmを更新しました |
11月19日、堀山様 |
||||
11月18日、安東様 |
11月18日、真鯛74cm、安東様 今年度最長記録です |
||||
11月17日、朝倉様 → |
|||||
11月14日、アオハタ52cm、山田様 今年度最長記録&歴代1位です! |
11月14日、茗荷様、森高様 |
||||
11月14日、和泉様 |
11月14日、黒ソイ37cm、茗荷様 今年度最長記録です |
||||
11月14日、メダイ72cm、和泉様 今年度最長記録です |
11月14日、シマフグ36cm、小島様 今年度最長記録です |
||||
11月14日、矢野様 |
11月14日、レンコダイ35cm、田中様 今年度最長記録です |
||||
11月14日、イトヨリ40cm、脇田様 今年度最長記録です |
11月14日、脇田様 |
||||
11月14日、梶原様 |
11月14日、アオハタ44cm、梅原様 |
||||
11月13日、アオリイカ胴長23cm、北井様 今年度最長記録です |
11月13日、土屋様 ↓ |
||||
11月13日、梶原様 |
11月13日、土屋様 |
||||
11月13日、白イカ22cm、丸本様 今年度最長記録です |
11月13日、北本様 |
||||
11月13日、キジハタ46cm、丸本様 今年度最長記録です |
11月13日、ガシラ49cm、丸本様 今年度最長記録です |
||||
11月13日、丸本様 |
11月13日、アオハタ31cm、丸本様 今年度最長記録です |
||||
11月13日、太田様、胴長22cm |
11月13日、井関様 |
||||
|
|||||
11月7日、堀山様 |
11月7日、山田様 |
||||
11月7日、田中様 |
11月7日、土井様 |
||||
11月7日、苫野様 |
11月6日、山田様 |
||||
11月6日、佐坂様 |
11月6日、安井様 |
||||
11月6日、中野様 |
11月6日、小島様 |
||||
11月6日、川勝様 |
11月6日、森様 |
||||
11月5日、真鯛75cm、中野様 |
11月5日、アオリイカ胴長28cm、和泉様 酒井様の記録27cmを更新しました |
||||
11月5日、小島様 |
11月5日、和泉様 |
||||
11月5日、村山様 |
11月5日、山木様 |
||||
11月4日、和泉様 |
11月4日、シロザメ105cm、小島様 今年度最長記録です |
||||
11月3日、リノベーション松田様 |
11月4日、角田様 |
||||
10月31日、土井様 |
10月31日、チカメキントキ39cm、土井様 小長谷様の記録37cmを更新しました |
10月31日、酒井様 |
10月31日、アオリイカ胴長27cm、酒井様 森岡様の記録26cmを更新しました |
10月24日、土井様 |
10月24日、ヒラマサ81cm、土井様 和泉様の記録77cmを更新しました |
10月24日、アオリイカ胴長26cm、森岡様 山田様の記録25.5cmを更新しました |
10月24日、ソフト99 海津様 |
10月24日、イトヨリ42cm、中野様 森高様の記録41cmを更新しました |
10月24日、桑名様 |
10月24日、田中様 |
10月24日、小島様 |
10月23日、釣りクラブよしのり様 |
10月23日、中野様 |
10月23日、川勝様 |
10月23日、上田様 |
10月17日、土井様 |
![]() ヤマハのGPS魚探買換えキャンペーン 実施中!(10/1~11/30) 下取り対象商品をお持ちの方は、マリントピア 提供特別価格より、更に購入商品の10%を値引きさせて頂きます。 今が買い替えのチャンスです! |
10月17日、佐坂様 |
10月17日、来田様 |
10月17日、アマダイ48cm、北井様 自己記録の46cmを更新しました |
10月16日、村山様 |
10月16日、酒井様 |
10月16日、和泉様 |
10月16日、山木様 |
10月16日、西川様 |
10月16日、丸本様 |
10月15日、堀山様 |
10月13日、小長谷様 白石礁 |
10月13日、土井様、中浜~白石 |
10月11日、佐坂様 |
10月13日、村山様、養老沖 |
10月11日、木村様 |
10月11日、チダイ33cm、川添様 今年度最長記録です |
大っきー! |
← 10月11日、清塚様 ↓ |
10月11日、シイラ64cm、中尾様 自己記録の38cmを更新しました |
小っちゃー! |
10月11日、井関様 |
10月11日、上田様 |
10月10日、土井様 |
10月10日、小長谷様 |
10月10日、大森様 |
10月10日、楠本様 |
10月10日、中尾様 |
10月10日、堀山様 |
10月9日、トラフグ45cm、森高様 田中様の記録43cmを更新しました |
10月10日、二宮様 |
10月9日、アオリイカ胴長25.5cm、山田様 糸井様の記録25cmを更新しました |
10月9日、山田様 |
10月9日、二宮様 |
10月9日、堀山様 |
10月9日、山田様 |
10月7日、天井様 |
10月2日、茗荷様 |
10月6日、野澤様 |
10月2日、イシダイ51cm、塚本様 下木様の記録48cmを更新しました |
10月2日、塚本様 |
10月2日、丸本様 |
10月2日、山木様 |
9月27日、金谷様 |
9月26日、二宮様 |
9月20日、アオリイカ胴長25cm、糸井様 今年度最長記録です |
9月25日、マゴチ63cm、二宮様 太田様の記録49cmを更新しました |
9月20日、スズキ76cm、石本様 糸井様の記録74㎝を更新しました |
9月20日、梶原様 |
← ↑ 9月20日、井口様 |
|
9月19日、和田様 |
9月20日、中尾様 |
9月19日、堀山様 |
9月19日、吉崎様 |
9月19日、山田様 |
9月19日、梶原様 |
9月19日、マゴチ49cm、太田様 今年度最長記録です |
9月19日、中尾様 |
9月19日、宮本様 |
9月19日、牛尾様 |
9月18日、桑名様、24番 |
9月18日、小島様、24番 |
← ↑ 9月18日、宮本様 |
|
9月17日、小島様 |
9月16日、田中様 |
9月12日、山本様 |
9月15日、小島様 |
9月12日、土井様 |
9月12日、町様 |
9月11日、小西様 |
9月12日、和田様 |
9月11日、丸本様 |
9月11日、浦本様、真鯛60cm |
9月6日、伊藤様 |
9月10日、中野様 |
9月5日、北井様 |
9月4日、キジハタ49.5cm、丸本様 自己記録46㎝を更新しました ↑↓ |
9月3日、田中様 |
|
マリントピア周辺でカマス絶好調!! |
9月2日、山本様 |
9月2日、和泉様 |
9月2日、堀山様 |
9月1日、大友様 |
9月2日、田中様 |
8月30日、イシダイ48cm、下木様 今年度最長記録です |
← 8月30日、小林様 |
8月29日、堀山様 |
8月29日、吉崎様 |
8月28日、片岡様 |
8月28日、片岡様 またまた出ました、真鯛82cm!! |
8月28日、桑名様 |
8月28日、丸本様 |
8月28日、井関様 |
8月28日、山木様 |
8月21日、正田様、養老沖漁礁 |
8月27日、松田様、養老沖漁礁 |
8月18日、権田様、養老沖漁礁 |
8月19日、藤本様、養老沖漁礁 |
8月16日、小島様 → |
8月16日、真鯛82cm 大真鯛が絶好調!?真鯛3位5匹目! |
8月15日、土井様 |
8月16日、土井様 |
8月15日、シイラ38cm、中尾様 今年度最長記録です |
8月15日、林様 |
8月14日、森高様 |
8月14日、真鯛82cm、森高様 真鯛3位続出です! |
8月14日、土井様 |
8月14日、真鯛82cm、土井様 真鯛の部第3位です! |
8月14日、山木様 |
8月14日、真鯛82cm、山木様 真鯛の部第3位です! |
8月13日、大橋様 |
8月14日、高野様 |
8月13日、土井様 |
8月13日、真鯛82cm、土井様 山木様とならび第3位です! |
8月13日、山木様 |
8月12日、安田様 |
8月9日、池田様 |
![]() 8月8日、町様 |
8月7日、茗荷様 |
8月8日、土屋様 |
8月6日、田中様 |
8月7日、寺本様 |
8月5日、三宮様 |
8月6日、石井様 |
8月1日、嶋津様、養老沖 |
8月3日、小林様、白石礁 |
8月1日、トラフグ43㎝、田中様 山本様の記録33㎝を更新しました |
8月1日、田中様 |
6月30日、村山様 |
|
6月28日、中野様 |
6月28日、田中様 |
6月27日、大伸工業様 |
|
6月26日、丸本様 |
6月26日、田中様、冠 |
6月25日、田中様、11番 |
6月26日、宮本様 |
6月25日、アラ54cm、矢野様 今年度最長記録です |
6月25日、矢野様 |
6月24日、北井様 |
6月25日、和泉様、24番 |
6月20日、小島様 |
6月21日、堀山様、冠 |
6月20日、村山様 |
6月20日、堀山様 一心丸での釣果です! |
6月19日、一井様、養老沖漁礁 |
6月19日、矢野様、養老沖 アジが漁礁に戻ってきました。\(^o^)/ |
6月17日、中塚様 |
6月18日、堀野様、白石 |
![]() 6月13日、土井様、経ヶ岬沖 |
![]() 6月17日、谷様 |
![]() 6月12日、矢野様 |
![]() 6月13日、高橋様、養老沖 |
![]() 6月12日、白ギス25cm、中野様 桐山様の記録22cmを更新しました。 |
![]() 6月11日、北井様 |
![]() 6月11日、小林様 |
![]() 6月11日、和泉様 |
| 6月9日、真鯛83cm、谷村様 山木様の記録82cmを更新しました。 |
![]() 6月10日、タラ85cm、高島様 樋口様の記録77cmを更新しました。 |
6月9日、五十川様、光勢丸で |
6月9日、土井様、経ヶ岬沖 |
| 6月9日、桑名様、島影湾 |
6月9日、中野様、21番漁礁 |
6月6日、西川様 |
6月7日、幸田様 |
6月6日、真アジ43cm、酒井様 矢野様の記録42cmを更新しました |
6月6日、酒井様 |
6月6日、伊藤様 |
6月6日、堀野様 |
6月6日、矢野様 |
6月6日、樋口様 |
6月6日、白ギス22㎝、桐山様 今年度最長記録です |
6月6日、タラ77cm、樋口様 山田様の記録75cmを更新しました |
6月6日、カワハギ27㎝、伊東様 今年度最長記録です |
6月5日、伊藤様 |
6月5日、堀山様 |
6月5日、和泉様 |
6月5日、川村様 |
6月4日、北井様 |
6月4日、ヒラマサ77cm、和泉様 北井様の記録67cmを更新しました |
6月4日、和泉様 |
6月4日、村山様 |
6月4日、上田様 |
6月4日、小島様 |
6月3日、北井様 |
6月1日、探検隊釣果 → |
探検隊も初挑戦のカワハギ釣り! 狙うとなかなか釣れないエサ取り名人 バンバン釣れたらまさに釣り名人! 皆さまも一度、挑戦してみてください 結構はまりますよ 詳しくはこちらから |
6月2日、ヒラマサ67cm、北井様 土井様の記録66㎝を更新しました |
6月2日、和泉様 |
5月30日、矢野様 |
5月31日、田中様 |
5月30日、グレ45㎝、井口様 今年度最長記録です |
5月30日、酒井様 |
5月30日、山木様 |
5月30日、塚本様 |
5月29日、堀山様 |
5月29日、塚本様 |
5月29日、山木様 ホシザメ80cm、アナゴ70cm 今年度最長記録です |
5月29日、ホウボウ37cm、山木様 今年度最長記録です |
5月22日、二宮様 |
5月29日、丸本様 |
5月22日、山田様 |
5月22日、タラ75cm、山田様 今年度最長記録です |
メジロが釣れました! |
← 5月22日、久保田様 |
5月22日、丸本様 |
5月17日、吉崎様 |
5月16日、土井様 |
5月17日、小林様 |
5月16日、中塚様 |
5月16日、塚本様 |
5月16日、村山様 |
5月16日、田中様 |
5月16日、正田様 |
5月16日、高木様 |
| 海がおかしい!? 漁礁でアジがまったく釣れません 深海魚が大量に揚がったり 今年はこの先どうなるのでしょうか |
5月15日、ゴボウ75cm、正田様 名田様の記録を更新しました。 |
5月15日、小島様 |
5月15日、塚本様 |
5月15日、矢野様 |
5月15日、北井様 |
5月15日、安東様 → |
|
5月15日、皆木様 |
5月9日、山本様 |
5月9日、コブダイ54㎝、奥田様 今年度最長記録です |
5月9日、奥田様 |
5月8日、北井様 |
5月8日、小出様 |
5月7日、和泉様 |
5月8日、吉崎様 |
| 5月5日、敦賀沖ムギイカ釣り 遠征釣果、1人200パイ~50パイ | |
| |
|
| |
|
| |
|
5月5日、嶋津様 |
5月5日、ブリ90cm、児嶌様 山田様の記録89cmを更新しました |
5月4日、大山様 |
5月4日、堀野様 |
5月4日、大橋様 ↑→ |
|
5月4日、中尾様 |
5月4日、小長谷様 |
5月3日、宮本様 |
5月3日、ナヌカザメ、中川様 |
5月3日、マハタ44cm、中尾様 和泉様の記録43cmを更新しました |
5月3日、桑名様、19番 |
5月3日、松井様 |
5月3日、小長谷様、ヒラメ63㎝ |
5月2日、酒井様 |
5月3日、豊田様 |
5月2日、木村様 |
5月2日、吉田様 |
5月2日、川村様 |
5月2日、丸本様、新井崎 |
5月1日、北井様 |
5月1日、大森様 |
5月1日、アイナメ43cm、丸本様 自己記録の42cmを更新しました |
5月1日、田中様、真鯛73㎝ |
5月1日、丸本様 |
5月1日、ガシラ41cm、丸本様 五十川様の記録40cmを更新しました |
4月26日、小島様 |
4月30日、山木様 |
| 4月25日(日)は波も無く晴天の絶好の釣り日和 一説によると、釣り揚げたウミガメのタタリではないかと囁かれています。 漁師の話では捕まえたウミガメは酒を飲ませて海に帰してやると豊漁になるらしい。誰や!酒を忘れたのは |
4月25日、北井様、(ーー;) |
4月24日、北井様 |
4月25日、チカメキントキ37cm、小長谷様 丸本様の記録35cmを更新しました |
| 亀仙人を釣り上げてしまい、自身もつい に釣り仙人に?! ウミガメ、75cm マリントピア今世紀最長珍記録 → 詳しくはこちらから!! |
4月18日、和泉様 |
4月18日、スズキ74cm、糸井様 和泉様の記録66cmを更新しました |
4月18日、糸井様 |
4月18日、北井様 |
4月18日、堀野様、白石 |
4月18日、山田様、間人 |
4月18日、ブリ89cm、山田様 土井様の記録70cmを更新しました |
4月18日、山木様 |
4月17日、メジロ70cm、土井様 和泉様の記録69cmを更新しました |
4月17日、矢野様 |
4月17日、土井様、白石 |
4月17日、真アジ42cm、矢野様 石橋様の記録41cmを更新しました |
4月17日、サクラマス?54㎝、和泉様 今年度最長記録です。 場所は24番、サケ・マスが釣れた のはマリントピア始まって以来です。 |
4月17日、丸本様、伊根沖 |
4月17日、真鯛1位82cm、山木様 中塚様の記録81cmを更新しました!! |
4月10日、土井様、白石 |
4月11日、大伸工業様 |
4月10日、皆木様、オオグリ |
4月4日、マハタ43cm、和泉様 丸本様の記録33cmを更新しました |
4月4日、オキメバル35.5cm、矢野様 樋口様の記録35cmを更新しました |
4月4日、矢野様 |
4月4日、土井様 |
4月4日、山木様、21番 |
4月4日、吉山様 |
4月4日、塚本様 |
4月3日、土井様 |
4月3日、塚本様 |
4月2日、和泉様 |
4月2日、メバル31cm、山木様 丸本様の記録30.5cmを更新しました。 |
3月28日、樋口様、経ヶ岬沖 魚種名が分からず苦戦しましたが、 フサカサゴ科「ヤナギノマイ」に決定! |
3月31日、小長谷様、白石礁 |
← 3月28日、山田様 白石礁で大真鯛釣れる! いよいよのっ込みの気配か |
|
3月27日、二宮様 |
3月28日、二宮様 |
3月20日、和泉様 |
サケガシラ浜に揚がる。今年は異常に 多くのサケガシラが打ち上がっています。 深海で異変が起きているのでしょうか |
3月20日、塚本様 → |
クロソイ・マトウダイ、どちらも記録 更新に僅か及ばず(-"-)残念! |
3月20日、アイナメ42cm 丸本様、今年度最長記録です→ |
3月20日、丸本様 |
3月19日、チカメキントキ35cm、 丸本様 和泉様の記録32cmを更新しました。 |
3月19日、丸本様、伊根沖 マハタ、アオハタ、キジハタの記録 保持者となりました。 |
3月19日、マハタ33cm、丸本様 今年度最長記録です。 |
3月19日、メバル30.5cm、丸本様 宮川様の記録30cmを更新しました。 |
| 3月18日、北井様、伊根沖 |
3月19日、田中様、伊根沖 |
3月14日、アマダイ46cm、北井様 塚本様の記録45㎝を更新しました |
3月14日、北井様 |
3月14日、和泉様、白石 |
3月14日、小島様、24番 |
3月14日、塚本様 |
3月14日、矢野様 |
3月13日、安東様 |
3月14日、中川様 |
3月13日、メバル30cm、宮川様 中川様の記録29㎝を更新しました |
3月13日、塚本様 |
3月13日、中川様 → |
メバル29cm記録更新!! 残念ながら1時間後に宮川様に 抜かれる。 |
3月12日、和泉様 |
3月13日、和泉様 |
3月6日、メバル28cm、山田様 和泉様の記録23㎝を更新しました |
3月6日、山田様 |
アオハタ48cm キジハタ46cm |
← 3月6日、丸本様、自己記録と 小長谷様の記録を更新しました |
3月5日、和泉様 |
3月5日、北井様 |
|
|||
2月26日、メバル23cm、和泉様→ 今年度最長記録です |
2月26日、和泉様 |
||
2月25日、田中様 |
2月24日、梶田様 |
||
2月24日、安東様 |
2月21日、佐坂様 |
||
2月21日、和泉様 |
2月21日、メダイ83cm、佐坂様 和泉様の記録70㎝を更新しました |
||
2月21日、チカメキントキ32㎝、和泉様 今年度最長記録です |
2月20日、北井様 |
||
2月20日、横山様 |
2月20日、ウマヅラ40cm、和泉様 矢野様の記録37㎝を更新しました |
||
2月14日、伊藤様 |
2月14日、ガシラ40cm、五十川様 丸本様の記録38㎝を更新しました |
||
2月14日、メダイ70cm、和泉様 北井様の記録66㎝を更新しました |
2月14日、和泉様 |
||
2月14日、イズカサゴ47㎝、塚本様 今年度最長記録です |
2月14日、塚本様 |
||
| 久々の釣果情報です。 毎週末天気が悪くて ようやく出れ |
|||
2月13日、サワラ88cm、槙野様 皆木様の記録76㎝を更新しました |
2月13日、槙野様 |
||
2月13日、塚本様 → |
|||
2月8日、谷岡様、鈴木様 → |
|||
|
|||
| ← マフグ 経ヶ岬沖で釣れる。 胸鰭後方に大きな黒斑があるのでトラフグかと思いましたが、薄くて分かりづらいですが黄色い横帯があり、細かい黒斑が鮮明で全体に明るい感じがします。 トラフグの代用品として利用されることがあるようです。 |
|||
1月31日、佐坂様 |
メダイ・ハマチ大爆釣! 1月31日、北井様 |
||
1月31日、堀山様 |
1月31日、槙野様 |
||
1月31日、タヌキメバル56cm、高島様 今年度最長記録です |
1月31日、オキメバル35cm、樋口様 大森様の記録25㎝を更新しました |
||
1月31日、高木様 |
1月30日、矢野様 |
||
1月29日、オキメバル25cm、大森様 矢野様の記録21㎝を更新しました |
1月30日、ウマヅラ37cm、矢野様 自己記録の32㎝を更新しました |
||
1月27日、ヒラメ71cm、河内様 和泉様の記録58cmを更新しました。→ |
1月27日、河内様 |
||
1月27日、メジロ69㎝、和泉様 北井様の記録68cmを更新しました。→ |
1月27日、和泉様 |
||
1月27日、クロソイ50cm、小長谷様 和泉様の記録42㎝を更新しました。 |
1月27日、堀山様 |
||
1月24日、土井様 |
1月24日、矢野様 |
||
1月23日、中川様 |
1月24日、西村様 |
||
1月21日、ヤリイカ40cm、北井様 西浦様の記録36㎝を更新しました |
1月21日、和泉様 |
||
1月19日、ヤリイカ釣れてます! ↓ |
1月20日、和泉様 |
||
1月19日、探検隊釣果 |
1月20日、メダイ66cm、北井様 矢野様の記録61㎝を更新しました |
||
1月18日、オキメバル21cm、矢野様 今年度最長記録です |
1月20日、小林様 |
||
1月18日、サバ38cm、矢野様 今年度最長記録です |
1月18日、ウマヅラ32cm、矢野様 今年度最長記録です |
||
| 冠周辺でメダイ入れ食い状態、 胴突き5本鈎に5匹の時も!! |
1月17日、土井様 |
||
1月17日、和泉様 |
1月17日、山本様 |
||
1月17日、西浦様 |
1月17日、ヤリイカ36cm、西浦様 今年度最長記録です |
||
1月17日、村山様 |
1月17日、矢野様 |
||
1月11日、アマダイ45cm、塚本様 北井様の記録41㎝を更新しました |
1月11日、北井様 |
||
1月11日、塚本様 |
1月11日、堀山様 |
||
1月11日、佐坂様 |
1月11日、和泉様 |
||
1月11日、メダイ61cm、矢野様 今年度最長記録です |
1月11日、矢野様 |
||
1月11日、サワラ76cm、皆木様 北井様の記録72㎝を更新しました |
1月11日、マトウダイ49cm、矢野様 和泉様の記録46㎝を更新しました |
||
1月9日、北井様 |
1月11日、梶田様 |
||
1月9日、山田様 |
1月9日、マトウダイ46cm、和泉様 北井様の記録43㎝を更新しました |
||
1月9日、矢野様 |
1月9日、和泉様 |
||
| 1月7日、名田様の釣果 |
ごぼう70cm、名田さま、 今年度最長記録です。 |
||
![]() 今年も釣り情報をよろしくお願い致します。 |
|||

