12月30日、土井様 |
|
12月29日、土井様 |
12月30日、堀山様 |
12月27日、土井様 |
12月27日、ブリ100㎝、土井様 今年度最長記録!12.6㎏もありました! |
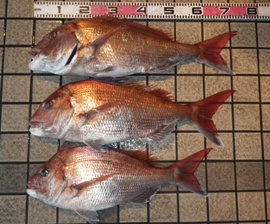
12月27日、真鯛80㎝、土井様 中野様の記録73㎝を更新して第1位です! |
12月16日、奥田様 |
12月16日、坂井様 |
12月16日、アオハタ42㎝、坂井様 今年度最長記録です |
12月16日、大山様 |
12月16日、西野様 |
12月15日、和泉様 |
12月16日、二宮様 |
12月15日、マサバ43㎝、牧野様 今年度最長記録です→ |
12月15日、牧野様 |
12月15日、中川様 |
12月15日、二宮様 |
12月3日、北井様オカン |
12月2日、矢野様 |
12月2日、加藤様 |
11月30日、中野様 ↓ |
|
11月25日、奥田様 |
真鯛73㎝、72㎝、63㎝、中野様 1位、2位、3位独占です!! |
11月25日、和泉様 |
11月25日、町様 |
![]() アミモンガラ大発生! 渡辺様 |
11月25日、井関様 |
11月24日、宮津ハーバー ルアーでセイゴ釣れました |
チヌもルアーで釣れました |
11月23日、アオリイカ胴長28㎝、中澤様 今年度最長記録です |
11月23日、中澤様 |
11月23日、マゴチ44㎝、吉野様 今年度最長記録です |
11月23日、吉野様 |
11月23日、茗荷様 |
11月23日、ヒラメ52㎝、茗荷様 今年度最長記録です |
11月22日、イシガキダイ23㎝、島様 今年度最長記録です |
11月23日、和泉様 |
← 11月18日、大森様 ↑ |
|
↑ 11月18日、前様 → |
|
| 11月16日、宮津ハーバーで珍しい魚釣れました。 ヨゴレマツカサウオと思われますが、尾びれの黒い模様はヨゴレマツカサウオにないので違うかも知れません。 アジも20cmを超える良型が良く釣れています。 |
|
11月9日、菅様 |
11月4日、堀山様 |
← 11月4日、堀野様 ↑ |
|
11月3日、土屋様 |
11月4日、大山様 |
10月27日、堀山様 |
10月27日、葛原様 |
10月26日、山木様 |
10月27日、茗荷様 |
10月26日、中野様 |
10月26日、真鯛85㎝、中野様 山田様の記録80㎝を更新して第1位です! |
10月25日、山木様 |
10月21日、木山様 |
← 10月21日、二宮様 ↑ |
|
![]() 10月20日、パンダ様 |
10月21日、イシダイ49㎝、塚本様 高木様の記録35㎝を更新しました |
10月20日、佐坂様 |
10月20日、かおり様 |
10月20日、二宮様 |
10月20日、奥田様 |
10月20日、丸本様 |
10月20日、島様 |
10月15日、西川様 サワラ83㎝ |
10月17日、野澤、田村様 |
10月14日、酒井様 |
10月14日、大山様、ヒラマサ |
10月14日、キシ様 ↑ → |
|
10月14日、安東様 |
10月14日、土井様 |
10月13日、坂口様 |
10月13日、佐坂様 |
10月13日、塚本様 めずらしいソウシハギ釣れました |
10月13日、タチウオ100㎝、山木様 今年度最長記録です |
10月10日、シイラ94㎝、中野様 今年度最長記録です |
10月13日、山木様 |
10月10日、中野様 |
10月7日、土井様 バショウカジキが釣れました!! |
10月6日、アオリイカ34㎝、三原様 今年度最長記録です |
10月7日、高木様、真鯛70㎝ |
10月6日、土井様 |
10月6日、安東様 |
10月5日、森様 |
9月29日、安東様 |
|
9月29日、正田様 |
9月29日、宮川様 |
9月29日、近藤様 |
9月29日、カマスサワラ90㎝、石本様 今年度最長記録です |
9月29日、ホシザメ100㎝、山木様 自己記録の85㎝を更新しました |
9月23日、梶原様 |
9月23日、高橋様 |
|
9月22日、島様 |
9月23日、和田様 |
9月22日、矢野様 |
9月22日、川勝様 |
9月22日、丸本様 |
9月22日、高木様 |
9月22日、渡辺様 |
9月21日、中野様 |
9月21日、東様 |
9月20日、村山様 |
9月16日、梶原様 |
9月16日、高木様 |
9月16日、中澤様 |
9月16日、北井様 |
9月16日、和田様 |
9月16日、寺本様 |
9月15日、永田様 |
9月15日、キジハタ54㎝、丸本様 自己記録51㎝を更新しました |
9月14日、梅原様 |
9月15日、丸本様 |
9月13日、矢田様、中村様 |
9月13日、村山様 |
9月9日、岸本様 |
9月12日、菅様 |
9月8日、中川様 ↑→ |
|
9月7日、東様 真鯛76cm |
9月7日、東様 |
9月6日、村山様 |
9月6日、土井様 |
9月5日、土井様 |
9月5日、タラ89㎝、土井様 樋口様の記録88㎝を更新しました |
9月3日、矢野様 |
9月2日、堀山様 |
9月2日、塚本様 |
9月2日、佐坂様 |
9月2日、北井様 |
9月2日、真鯛3位77㎝、北井様 高木様の記録76㎝を更新しました |
9月1日、山田様 |
8月31日、安東様、堀山様 |
|
8月25日、土井様 |
8月28日、矢野様 マゴチ25㎝、今年度最長記録です。 シロギス24㎝は淵上様とタイ記録です |
8月25日、茗荷様 |
8月25日、森脇様 |
8月23日、谷川様 |
8月25日、山木様 |
8月23日、森岡様 ↑ → |
|
8月20日、庄司様 |
8月22日、ワニ160cm、菅様 無人浜で捕獲しました。お心当たりの 方はマリーナまで。 |
8月19日、大森様 |
8月19日、庄司様 |
8月18日、カガミダイ48cm、森川様 今年度最長記録です |
8月18日、イトヨリ30cm、松田様 今年度最長記録です |
8月18日、井原様 ↑→ |
|
←↑ 8月17日、池田様 |
|
8月17日、安東様 |
8月16日、吉岡様 |
8月14日、土井様 |
8月15日、土井様 |
8月13日、上村様 |
8月14日、森川様 |
8月13日、高野川越様 |
8月13日、ノドグロ49cm、堀山様 自己記録45cmを更新しました |
8月12日、堀山様 |
8月12日、中尾様 |
8月11日、小杉様 |
8月11日、石原様 |
8月10日、中尾様 |
8月11日、土井様 |
8月9日、大橋様 |
8月9日、大橋様 |
8月5日、島様 |
8月6日、嶽様 |
8月5日、町様 ↑→ |
|
←↑ 8月3日、今津様 |
|
8月2日、寺本様 |
8月3日、寺本様 |
7月30日、田中様 |
7月29日、中野様 |
7月28日、安東様 |
7月29日、和泉様 |
7月28日、堀山様 |
7月28日、ノドグロ45cm、堀山様 山田様の記録43cmを更新しました |
7月28日、正田様 |
7月27日、井原様 |
7月27日、中野様 |
7月27日、安東様 |
7月24日、松田様、森川様 |
7月27日、森様 |
7月22日、二宮様 |
7月23日、吉田様 |
7月22日、堀山様 |
|
7月22日、高木様 ↑ → |
7月22日、真鯛3位76㎝、高木様 土井様の記録74㎝を更新しました |
7月21日、安東様 |
7月22日、梶原様 |
7月21日、大塚様 |
7月21日、ホウボウ43cm、中川様 菅様の記録36cmを更新しました。 |
7月20日、安東様 |
7月20日、安東様 |
7月19日、菅様 |
7月19日、イシモチ38㎝、菅様 今年度最長記録です |
7月16日、矢野様 |
7月18日、レンコダイ34cm、戸波様 大森様の記録33cmを更新しました。 |
7月15日、堀山様 |
7月15日、波多野様↑↓ |
7月9日、大河原様 |
|
7月4日、安東様 |
7月9日、西村様 |
6月30日、二宮様 |
6月30日、大森様 |
6月30日、田中様 |
6月29日、オキメバル37㎝、矢野様 堀山様の記録36㎝を更新しました |
6月29日、矢野様 |
|
6月29日、シロギス24㎝、淵上様 中野様の記録22㎝を更新しました |
6月29日、野澤様 |
|||
6月27日、中野様 |
中野様進水式おめでとうございます。 ← 初釣果です。 進水式のページはこちらから |
|||
6月24日、中野様 |
||||
6月24日、シロギス22㎝、中野様 今年度最長記録です |
6月23日、真鯛1位80㎝、山田様 中野様の記録78㎝を更新しました |
|||
6月23日、正田様 |
6月23日、小島様 |
|||
6月23日、エソ56㎝、正田様 今年度最長記録です |
6月23日、マハタ39㎝、丸本様 今年度最長記録です |
|||
6月18日、矢野様 |
6月23日、丸本様 |
|||
|
|
||||
伊東様の釣果 |
6月17日、キス釣りイベントの釣果です。 天候が心配され、参加者は少なかったですが、雨も降らず楽しく実施できました。 肝心の釣果ですが、今年はキスの喰いが悪く一人当たり12~13匹でした。 |
|||
多田野様の釣果 |
||||
|
|
||||
6月16日、坂元様 |
6月14日、権田様 |
|||
6月13日、菅様 |
6月14日、吉田様 |
|||
6月11日、樋口様 |
6月11日、タラ88㎝、樋口様 矢野様の記録71㎝を更新しました |
|||
6月11日、鈴木様 |
6月11日、島様 |
|||
6月10日、高木様 |
6月10日、土井様 |
|||
6月9日、橋本様 |
6月9日、チカメキントキ45㎝、橋本様 田中様の記録31㎝を更新しました |
|||
6月9日、AYAⅡ山田様 |
6月9日、吉野様 |
|||
| ←6月2日、アゲぽよ釣りガール様 |
||||
アゲぽよ釣りガール 彼方 茜香様 |
アゲぽよ釣りガール 坂口 なつ様 |
|||
アゲぽよ釣りガール 蒼井 さや様 |
||||
6月2日、丸本様 |
6月2日、キジハタ51㎝、丸本様 自己記録を更新しました |
|||
6月2日、矢野様 |
||||
6月2日、タラ71㎝、矢野様 今年度最長記録です |
6月1日、ヒラマサ75㎝、葛原様 中西様の記録69㎝を更新しました |
|||
| クラブ会員・マリーナ会員募集キャンペーン実施中!! お得な特典盛りだくさんです |
5月31日、ダツ92㎝、三原様 今年度最長記録です |
||||
5月31日、中野様 |
5月31日、大河原様 |
|||
5月30日、菅様 |
5月30日、真鯛78cm、中野様 土井様の記録74cmを更新しました。 |
|||
5月28日、桑田様 |
5月30日、中野様、伊根沖 |
|||
5月27日、高木様 |
5月27日、イズカサゴ42㎝、山田様 安東様の記録40cmを更新しました |
|||
5月27日、土井様 |
5月27日、堀山様 |
|||
5月26日、森高様 |
5月27日、桑名様 |
|||
5月26日、佐坂様 |
5月26日、茗荷様 |
|||
5月26日、ヒラメ72㎝、川勝様 堀山様の記録54cmを更新しました |
5月26日、片岡様 |
|||
5月25日、東様 |
5月25日、木山様 |
|||
5月25日、山木様 |
5月24日、山木様 |
|||
5月24日、アマダイ44㎝、山木様 安東様の記録43cmを更新しました |
5月24日、ホシザメ85㎝、山木様 今年度最長記録です |
|||
5月24日、松田様 |
5月24日、イサキ40㎝、松田様 今年度最長記録です |
|||
7.8キログラム ↓ |
5月23日、森木様 |
|||
5月23日、ブリ91cm、森木様 |
||||
5月23日、松下様 |
5月20日、堀山様 |
|||
5月20日、和泉様 |
5月20日、北井様 |
|||
5月20日、土井様 ↑ → |
||||
5月20日、安部様 |
5月20日、井口様 |
|||
5月20日、二宮様 |
5月19日、島様 |
|||
5月19日、和泉様 |
5月19日、土井様 |
|||
5月19日、堀山様 |
5月19日、ムシガレイ45cm、堀山様 安東様の記録43cmを更新しました。 |
|||
5月19日、ブリ93cm、上田様 土井様の記録90cmを更新しました。 |
5月19日、二宮様 |
|||
5月19日、久保田様 |
5月19日、田中様 |
|||
5月19日、丸本様 |
5月19日、キジハタ47cm、ガシラ42㎝、丸本様 自己記録をを更新しました。 |
|||
5月17日、安東様 |
5月18日、橋本様 |
|||
5月16日、アマダイ43cm、安東様 山田様の記録42cmを更新しました。 |
5月16日、安東様 |
|||
5月14日、田邉様 |
5月14日、菅様 |
|||
5月13日、土井様 |
5月13日、佐坂様 |
|||
5月13日、小島様 |
5月13日、中西様 |
|||
5月13日、川勝様 |
5月13日、堀野様 |
|||
5月13日、高木様 |
5月13日、イシダイ35㎝、高木様 今年度最長記録です |
|||
5月13日、スズキ85㎝、川本様 土井様の記録80㎝を更新しました |
5月12日、小島様 |
|||
5月9日、森木様 |
5月12日、岸本様 |
|||
5月7日、田中様 |
5月9日、矢野様 |
|||
5月7日、チカメキントキ31㎝、田中様 今年度最長記録です |
5月6日、土井様 |
|||
5月5日、森川様 |
5月6日、森木様 |
|||
5月5日、大森様 |
5月5日、レンコダイ33cm、大森様 堀山様の記録32㎝を更新しました |
|||
5月4日、土井様 |
||||
5月3日、土井様 |
舞鶴湾口でスズキが好調です! | |||
5月3日、中尾様 |
5月3日、中尾様 エビスダイが釣れました~! |
|||
5月3日、大森様 |
5月3日、奥田様 |
|||
5月3日、高山様 |
5月3日、野澤様 |
|||
5月2日、大森様 |
5月2日、スズキ80cm、土井様 今年度最長記録です。 |
|||
5月1日、大石様 |
5月1日、大森様 |
|||
| ボート免許教室受講者募集キャンペーン受付中!! クラブ艇無料利用券進呈 |
4月30日、三宮様 |
4月30日、中野様 |
|||
4月29日、森高様 |
4月30日、茗荷様 |
|||
4月29日、真アジ47cm、森高様 島様の記録41.5cmを更新しました。 |
4月29日、茗荷様 |
|||
4月29日、真アジ41.5cm、島様 森高様の記録41cmを更新しましたが、、 |
4月29日、山田様 |
|||
4月29日、島様 |
4月29日、土井様 |
|||
4月29日、正田様 |
4月29日、正田様 |
|||
4月29日、中塚様 |
4月29日、石本様 |
|||
4月29日、高木様 |
4月29日、中川様 |
|||
4月28日、真アジ41cm、森高様 奥田様の記録40cmを更新しました。 |
4月28日、森高様 |
|||
4月28日、タヌキメバル42cm、山田様 田中様の記録40cmを更新しました。 |
4月28日、佐坂様 |
|||
4月28日、川勝様 |
4月28日、中野様 |
|||
4月28日、横山様 |
4月28日、山木様 |
|||
4月28日、丸本様 |
4月28日、キジハタ46㎝、アオハタ50㎝、丸本様 キジハタは今年度最長記録、アオハタは島様の記録40cmを更新しました |
|||
4月28日、土屋様 |
← ↑ 4月28日、土屋様 |
|||
4月25日、菅様 |
4月27日、西部山様 |
|||
4月25日、和泉様 |
4月21日、黒鯛45㎝、真アジ40㎝、奥田様 黒鯛は今年度最長記録、真アジは矢野様の記録38cmを更新しました |
|||
4月21日、塚本様 |
4月21日、奥田様 |
|||
4月19日、イズカサゴ40cm、安東様、 山田様の記録38cmを更新しました。 |
4月19日、タヌキメバル40cm、田中様 矢野様の記録38cmを更新しました。 |
|||
4月19日、田中・安東様 |
4月19日、ムシガレイ43cm、安東様 今年度最長記録です。 |
|||
4月18日、マトウダイ51cm、小西様、 波多野様の記録45cmを更新しました。 |
4月18日、小西様 |
|||
4月16日、矢野様 |
4月16日、タヌキメバル38㎝、矢野様 今年度最長記録です |
|||
4月15日、アオハタ40㎝、島様 山木様の記録39㎝を更新しました |
4月16日、菅様 |
|||
4月15日、土井様 |
||||
4月15日、中塚様 |
4月15日、佐坂様 |
|||
4月15日、矢野様 |
4月15日、真アジ38㎝、矢野様 今年度最長記録です |
|||
4月15日、石本様 |
4月15日、川勝様 |
|||
4月15日、岸本様 |
4月15日、田中様、由凪艇 |
|||
4月15日、クロソイ48㎝、池田様 和泉様の記録36㎝を更新しました |
4月15日、中西様 |
|||
4月15日、池田様 |
4月14日、和泉様 |
|||
4月14日、三浦様 |
4月14日、土井様 |
|||
4月14日、丸本様 |
4月13日、高橋様 |
|||
4月12日、菅様 ブリ81㎝ |
4月12日、菅様 |
|||
4月12日、松田様 |
4月8日、安東様 |
|||
4月8日、堀山様 |
4月8日、土井様 |
|||
4月8日、クロソイ36㎝、和泉様 道越様の記録30㎝を更新しました |
4月8日、佐坂様 |
|||
4月8日、和泉様 |
4月7日、土井様 |
|||
4月7日、田山様 |
4月7日、堀山様 |
|||
4月7日、イソメバル30㎝、中島様 矢野様の記録27㎝を更新しました |
||||
| ボート免許教室受講者募集キャンペーン受付中!! クラブ艇無料利用券進呈 |
3月21日、山田様、栗田沖 |
||||
3月18日、ブリ90㎝、土井様 自己記録85㎝を更新しました |
3月19日、権田様 |
|||
3月18日、和泉様 |
3月18日、ヒラマサ69㎝、中西様 今年度最長記録です |
|||
3月18日、佐坂様 |
3月18日、シマソイ?30㎝、道越様 今年度最長記録です |
|||
3月18日、北井様 |
3月18日、道越様 |
|||
3月18日、二宮様 |
3月17日、サワラ86㎝、土井様 自己記録85㎝を更新しました |
|||
3月17日、島様 |
3月17日、土井様 |
|||
3月17日、大森様 |
3月17日、和泉様 |
|||
3月17日、二宮様 |
3月16日、ホウボウ36㎝、菅様 今年度最長記録です |
|||
3月16日、タカノハダイ31㎝、菅様 今年度最長記録です |
3月16日、ウマヅラ37㎝、菅様 今年度最長記録です |
|||
3月16日、ガシラ38㎝、丸本様 今年度最長記録です |
3月16日、菅様 |
|||
3月16日、丸本様 |
3月11日、矢野様 |
|||
3月8日、安東様 |
3月11日、イソメバル27㎝、矢野様 今年度最長記録です |
|||
3月4日、サワラ85㎝、土井様 石本様の記録81㎝を更新しました |
3月4日、真鯛74㎝、土井様 山田様の記録70㎝を更新して第1位です! |
|||
3月4日、土井様 |
||||
2月24日、和泉様 |
ボート免許教室受講者募集 キャンペーン受付中!! クラブ艇無料利用券進呈 |
|||
2月22日、田中様 |
2月23日、和泉様 |
|||
2月20日、矢野様 |
2月22日、和泉様 |
|||
← ↑ 2月20日、菅様 |
||||
2月13日、土井様 さて、どこで釣ったんでしょう? |
2月19日、雪魚50cm 明日は船出れそうです(^O^)/ |
|||
2月6日、矢野様 久しぶりの出航でした!! |
2月11日、槙野様 |
|||
![]() 来週も雪、雪、雪、 土曜日、日曜日は |
1月22日、初田様 |
1月28日、駐艇場の積雪32cm 魚を図るメジャーが積雪計に早変わり、 というよりも、この使い方の方が本来の用途ですね。 |
||||
1月22日、和泉様 ハリセンボン大量発生していたようです |
1月21日、ヤリイカ37㎝、和泉様 自己記録の34㎝を更新しました |
||||
1月18日、松村様、冠島 何と1人での釣果です。秘密兵器は電動ジギングマシンです!! |
1月21日、和泉様 イカは1時間ほどでの釣果です!! |
||||
1月15日、ヤリイカ34㎝、和泉様 今年度最長記録です |
1月15日、和泉様 ヤリイカ釣れ出しました! 波高・強風でコンディション悪く、1時間程の釣果ですが、海況良ければ数も期待出来ます。 |
||||
1月8日、北井様 |
1月8日、菅様 |
||||
1月8日、アマダイ42㎝、山田様 山木様の記録40㎝を更新しました |
1月8日、佐坂様 |
||||
1月3日、和泉様、14番漁礁 今年の初釣果です。 冠ではハマチ爆釣! 白石ではブリ・ メジロも! ですが、明日からまた荒れそうです(>_<) |
|
||||

