マリントピア丸 最新釣り情報 船長のブログ
|

4月12日、奥田様
マアジ41cm |
 4月11日、メダイ88cm、大平様
佐坂様の記録65㎝を更新しました |
 4月11日、イサキ36cm、奥田様
今年度最長記録です |
 4月11日、ホウボウ44cm、大平様
今年度最長記録です |

4月11日、奥田様 |

4月11日、佐坂様 |

4月11日、島様 |

4月11日、マアジ41cm、島様
今年度最長記録です |
 4月11日、ガシラ46cm、土井様
森村様の記録44㎝を更新しました |

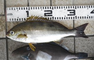
4月11日、ウマヅラ38cm、島様
和泉様の記録36㎝を更新しました |
 4月11日、スズキ93cm、土井様
三﨑様の記録87㎝を更新しました |

4月10日、古本様 |

4月9日、恵比寿さん |

4月8日、吉村様 |

4月7日、菅様 |

4月8日、イズカサゴ45cm、吉村様
今年度最長記録です |
 |
 |

4月3日、吉川様 |
 |

4月3日、都留様 |

4月3日、和泉様 |

4月2日、菅様 |

4月2日、和泉様 |

3月27日、イシダイ50cm、島様
今年度最長記録です |

3月27日、ユメカサゴ39cm、山田様
今年度最長記録です |

3月27日、アンコウ42cm、和泉様
今年度最長記録です |

3月27日、和泉様 |

3月25日、カガミダイ75cm、吉村様
今年度最長記録です |

3月21日、佐藤様 |

3月20日、岡本様 |

3月20日、ブリ100cm、佐藤様
貝塚様の記録93cmを更新しました。 |

3月9日、朝一釣れた記録物の大真鯛 |

今日の狙いはブリしかないので
海へお帰り頂きました。
|

夕方、納竿真際、なんと朝海へ帰した大真鯛が
釣れちゃいました。(^O^)/
詳しくはユーチューブで! |

アヤメカサゴなど底物は良く釣れました。
釣り魚図鑑も更新しましたので、また覗いて下さい。
|
|

2月28日、市村様 |

2月28日 |

2月28日 |

2月28日 |

2月28日 |

2月28日 |

2月28日 |

2月28日、和泉様 |

2月22日、西村様、ヤリイカ35cm |

2月28日、森村様、真鯛85cm |

2月21日、アマダイ45cm、佐坂様
安東様の記録44cmを更新しました。 |

2月21日、佐坂様 |

2月21日、ヤリイカ、ポツポツ30杯ほどでした。
|

2月21日、ヤリイカ40cm、菅様
石本様の32cmを更新しました。 |

2月21日 |

2月21日 |

2月21日 |

2月21日 |

2月21日 |

2月21日 |

2月14日、真鯛90cm、森村様
大森様の記録81cmを更新しました。 |

2月20日、ガシラ44cm、森村様
西村様の記録41cmを更新しました。 |

2月14日、和泉様 |

2月14日、キジハタ42cm、和泉様
自己記録35cmを更新しました。 |

2月13日、佐坂様 |

2月13日、メダイ65cm、佐坂様
今年度最長記録です。 |

2月13日、タヌキメバル53cm、堀山様
今年度最長記録です。 |

2月13日、ウッカリカサゴ38cm、オキメバル34cm
堀山様、今年度最長記録てす。 |

2月13日、サバ43cm、岩井様
石本様の42cmを更新しました。 |

2月13日、レンコダイ34cm、岩井様
奥田様の記録33cmを更新しました。
|

2月13日、和泉様 |

2月13日、ウマヅラ36cm、和泉様
今年度最長記録です。 |

2月12日、サバ42cm、石本様
今年度最長記録です。
|

2月12日、ヤリイカ32cm、石本様
今年度最長記録です。
|

2月12日、アマダイ46cm
新井崎沖にてタイラバで |

2月6日、才川様 |

1月31日、黒鯛41cm、田村様
今年度最長記録です |

2月6日、和泉様 |

1月16日、和泉様 |

1月16日、キジハタ35cm、和泉様
今年度最長記録です |

1月16日、エソ55cm、アオハタ47cm、石本様
記録更新しました |

1月16日、石本様 |

1月12日、マリーナ寒中修行 |

今回は高田君の独り勝ちでした。(・_・;) |
 |
 |
 |
 |

船酔いも克服して逞しくなりました! |

美味しいアマダイもGET |